Utilizamos cookies de terceiros para fins analíticos e para lhe mostrar publicidade personalizada com base num perfil elaborado a partir dos seus hábitos de navegação. Pode obter mais informação e configurar suas preferências AQUI.

Gestão

Leilão de terminal no Porto do Rio de Janeiro será em maio

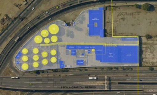
O terminal abrange uma área de 13,5 mil m² e é destinado à movimentação e armazenagem de granel líquido

08/04/2024 10h36

Foto: PortosRio - Divulgação

Já tem data marcada para o dia 23 de maio o leilão do terminal portuário RDJ-06, localizado no Porto do Rio de Janeiro. Este é o primeiro dos seis novos arrendamentos previstos para este ano, no âmbito do pacote da PortosRio. O terminal abrange uma área de 13,5 mil m² e é destinado à movimentação e armazenagem de granel líquido, especialmente óleos básicos, exceto produtos inflamáveis. O investimento mínimo do novo arrendatário será de R$ 22,2 milhões. O aviso de licitação foi publicado pela Agência Nacional de Transportes Aquaviários (Antaq) na última terça-feira (2).

O diretor-presidente da PortosRio, Francisco Martins, destacou a importância dos leilões: "A exploração de novas áreas vai dinamizar as operações portuárias e possibilitar investimentos para a modernização da infraestrutura dos nossos portos, além de proporcionar maior desenvolvimento socioeconômico para o Rio de Janeiro, gerando empregos, renda e arrecadação de impostos".

O pacote de novos arrendamentos portuários da PortosRio para este ano totalizará quase R$ 3 bilhões de investimentos. Ainda para 2024, também no Porto do Rio de Janeiro, estão previstas as licitações do terminal RDJ-07, especializado na movimentação de carga de apoio offshore; do RDJ-10 e RDJ-11, ambos destinados à movimentação de carga geral e granéis. No Porto de Itaguaí, serão leiloados o terminal ITG-02, voltado para granéis sólidos minerais, e o terminal ITG-03, destinado à alumina.

O arrendamento do terminal RDJ-06 seguirá o modelo simplificado, com prazo máximo de 10 anos. Para mais detalhes sobre o leilão do terminal portuário RDJ-06, incluindo o edital e os requisitos para participação no processo licitatório, os interessados podem acessar o site da Antaq através do seguinte link: https://www.gov.br/antaq/pt-br/assuntos/leiloes